Buscar
Gipuzkoa

La seguridad peatonal gana espacio en Deba

La reforma de la rotonda y el paso de peatones de Artzabal se suma a las obras del mirador de La Hilandera, un enclave situado junto al tramo de la N-634 que enlaza el casco urbano con Itziar
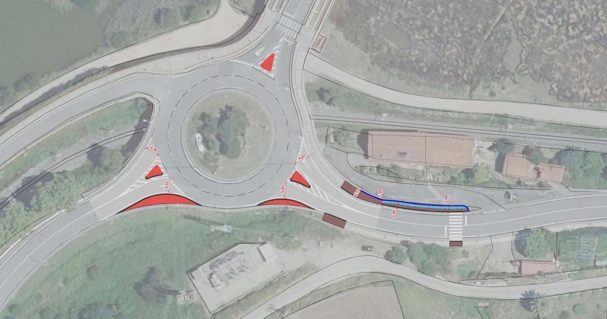
Vista de la reconfiguración que se contempla para la rotonda y la nueva ubicacion del paso de peatones de Artzabal.
Vista de la reconfiguración que se contempla para la rotonda y la nueva ubicacion del paso de peatones de Artzabal. / Udala

Dos enclaves vinculados a la movilidad peatonal en Deba, el paso de peatones de la N-634 a la altura de Artzabal y el mirador de La Hilandera, van a ser objeto de sendas actuaciones encaminadas a la mejora de la seguridad de los viandantes.

Paso de peatones

La Diputación Foral de Gipuzkoa ha puesto en marcha la licitación de las obras de mejora de la seguridad vial en el paso de peatones de la N-634, en Artzabal (Deba).

La zona presenta unas condiciones de visibilidad que suponen un riesgo para los viandantes al que ahora se quiere poner fin con la reubicación del paso de peatones en una zona más segura y visible.

Cambios en la rotonda

Además, se reconfigurará la rotonda de Artzabal para reducir la velocidad de los vehículos, y se mejorarán tanto la señalización como la iluminación en la zona.

Todo ello se acompañará de la instalación de un muro de contención para proteger a los peatones, pero la actuación no finaliza aquí.

Pavimentación

También se llevarán a cabo obras de pavimentación en el área con el fin de proporcionar mayor estabilidad y seguridad para todos los usuarios de la vía.

La medida que va a acometer la Diputación Foral de Gipuzkoa responde a una petición directa del Ayuntamiento de Deba, que solicitó en su momento una solución para este tramo de la N-634.

La Hilandera

Por otro lado, el mirador de La Hilandera, situado en el trazado de la N-634 que discurre junto al mar y enlaza el casco urbano de Deba con Itziar, será objeto de una intervención integral para garantizar su estabilidad y mejorar su entorno.

En la actualidad, este espacio presenta problemas estructurales que hacen necesaria su estabilización para evitar riesgos y garantizar su uso en condiciones seguras.

Presupuesto

La obra ya ha sido adjudicada a la empresa Técnicos en Estabilizaciones e Inyecciones S.A. (TESINSA). Se trata de una actuación que cuenta con un presupuesto que asciende a los 321.670,07 euros (IVA incluido) y el plazo para su ejecución ha quedado establecido en los cuatro meses.

El proyecto contempla la estabilización del muro de contención, reforzándolo con anclajes y una capa de hormigón proyectado. Asimismo, se prevé la construcción de un nuevo muro de hormigón armado en la zona con menor altura, con un diseño que garantice mayor resistencia, y la instalación de sistemas de drenaje para evitar la acumulación de agua y prevenir futuros daños.

Mejora de infraestructuras

La actuación se completará con la sustitución de la barandilla actual por una nueva estructura que garantice la seguridad, y la reurbanización del espacio, con la reparación del pavimento y la recolocación del mobiliario urbano.

La intervención está financiada por la Diputación Foral de Gipuzkoa, dentro del plan de conservación y mejora de infraestructuras viarias.

Valoración del Ayuntamiento

Una vez finalizadas las obras, el mirador de La Hilandera ofrecerá un espacio renovado, seguro y accesible para vecinas y vecinos, así como para los visitantes de Deba, contribuyendo de manera significativa a la mejora del entorno urbano y paisajístico de la localidad.

“Este proyecto es una gran noticia para el municipio, ya que no solo mejora la seguridad de un espacio tan emblemático como el mirador de La Hilandera, sino que también contribuye a hacer de Deba un lugar más accesible y atractivo para todos”, indicó la alcaldesa, Alazne Txurruka.

2025-06-17T12:38:04+02:00
En directo
Onda Vasca En Directo