Buscar
Mundo

El huracán 'Melissa' se debilita a categoría 3 a punto de tocar Cuba con vientos de 205 km/h

"Estamos tan preparados como podemos", dice el primer ministro, que advierte de que "podría causar una disrupción significativa"
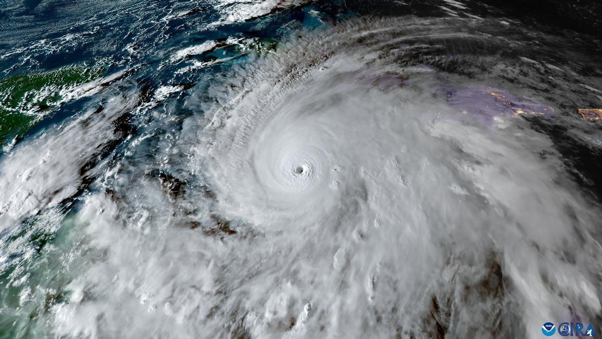
El huracán Melissa azota Jamaica con vientos y lluvias devastadores
El huracán Melissa azota Jamaica con vientos y lluvias devastadores / EFE

El huracán 'Melissa' ha golpeado Jamaica durante la noche de este martes con fuerzas de categoría 5, la máxima posible, provocando la destrucción de viviendas e infraestructura antes de dejar el país y dirigirse a Cuba ya con categoría 4 pero amenazando igualmente a múltiples provincias ante su entrada, que ha llevado a la evacuación de más de 735.000 personas.

Con vientos que han llegado a superar los 240 kilómetros por hora, 'Melissa' ha destrozado casas, arrancado árboles y dejado sin electricidad a buena parte de la costa sudoeste de Jamaica a su paso por el país, donde ha provocado repentinas inundaciones y deslizamientos de tierra, según ha recogido el diario 'Jamaica Observer'.

El propio primer ministro del país, Andrew Holness, ha lamentado en su cuenta de Facebook que la isla "ha sido devastada por el huracán 'Melissa'", aunque ha mostrado su esperanza de "reconstruir y hacerlo aún mejor que antes".

"Esta noche animo a los jamaicanos a tener esperanza", ha afirmado en un mensaje en el que ha admitido que muchos de sus ciudadanos "se sienten desanimados" y "es posible que sus hogares hayan sufrido daños o hayan quedado destruidos y que sus comunidades y pueblos ya no sean los mismos". "Nos estamos movilizando rápidamente para iniciar las labores de socorro y recuperación, y estaremos con ustedes en cada paso del camino", les ha prometido.

Horas antes, ha declarado el país entero como "zona catastrófica" por el paso del huracán 'Melissa', después de que se hayan dado a conocer los primeros daños por el paso del ciclón, que ha afectado a al menos cuatro importantes hospitales.

Miles de evacuados

Mientras tanto, Cuba ha empezado a registrar los primeros daños provocados por la llegada de 'Melissa' al suroeste de la isla, mientras que "más de 735.000" personas han sido evacuadas en el país de manera preventiva, según ha afirmado el presidente cubano, Miguel Díaz-Canel, en la red social X.

El Instituto Meteorológico (Insmet) ha previsto que el huracán, que se ha aproximado al país con categoría 4 y vientos de hasta 215 kilómetros por hora, penetre en la provincia de Santiago de Cuba y se aproxime también a la de Granma en las próximas horas, con mareas que afectarán a ambas y también a Guantánamo, según las informaciones que ha recogido el portal de noticias Cubadebate.

Por su parte, antes de la inminente entrada del huracán por el municipio de Guamá, la presidenta del Consejo de Defensa Provincial de Santiago de Cuba, Beatriz Johnson Urrutia, ha advertido en su cuenta en Facebook "lluvias intensas y un oleaje que supera los 4 metros" con vientos que "ya provocan afectaciones visibles".

Asimismo, ha informado de inundaciones en la propia ciudad de Santiago de Cuba, del desbordamiento de una presa en la localidad de Palma Soriano y de múltiples inundaciones en Contramaestre, Segundo Frente y San Luis. Además, ha habido deslizamientos de tierra en el Poblado El Cobre, donde "17 personas quedaron atrapadas en una vivienda; entre ellas hay niños y ancianos". "Un equipo de rescatistas ejecuta acciones para salvaguardar a estos pobladores", ha señalado.

Mientras tanto, en Haití, cinco departamentos --Sur, Grand'Anse, Nippes, el Sureste y Oeste-- permanecen en alerta roja mientras otros dos, Artibonite y Noroeste, están en alerta naranja en previsión de afectaciones derivadas del huracán. Además, la Presidencia ha declarado el miércoles día de descanso, con el fin de anticipar y limitar los impactos del huracán Melissa, según ha recogido el portal haitiano AlterPresse.

La ONU, preparada para atender a los afectados

Ante esta situación, el Programa Mundial de Alimentos (PMA) "está coordinando una operación de transporte marítimo desde Barbados con suministros del PMA, la Organización Internacional para las Migraciones y UNICEF", según ha señalado este martes el portavoz del secretario general de Naciones Unidas, Stéphane Dujarric.

A este respecto, el PMA "ha predispuesto más de 800 toneladas métricas de alimentos para asistir a 86.000 personas en Haití durante dos semanas", mientras que "UNICEF ha predispuesto kits de agua, saneamiento e higiene para aproximadamente 14.500 personas y suministros nutricionales para más de 4.000 niños", ha anunciado el representante de António Guterres.

"Se ha previsto un puente aéreo con aproximadamente 2000 kits de ayuda, que se desplegarán una vez que los aeropuertos reabran y las condiciones meteorológicas permitan los vuelos", ha agregado en una rueda de prensa en la que también ha informado acerca de "suministros adicionales de socorro disponibles en el Depósito Humanitario de las Naciones Unidas en Panamá, procedentes de agencias de la ONU, ONG y socios de cooperación internacional".

2025-10-29T14:58:05+01:00
En directo
Onda Vasca En Directo